電話をかける(携帯・PHS可)
0120-29-6565
「ホームページを見て」とお伝え下さい。
お問い合わせ番号をお伝えください
RHS-QB400034
| 特徴 | |
|---|---|
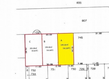
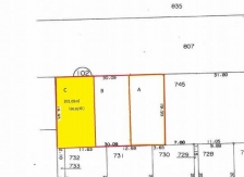
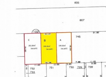
| セールスコメント | 3区画の分譲地1区画約60坪前後です。 前面道路は15mです。 |
| 建築条件 | なし | 土地権利 | 所有権 |
|---|---|---|---|
| 現況/引渡し | 更地/相談 | 接道状況 | 接道: 北東 10m 公道 道路幅: 15m |
| 私道負担面積 | - | セットバック | なし |
| 地勢 | 地目 | 宅地 | |
| 用途地域 | 第一種住居地域 | 都市計画 | 市街化区域 |
| 法令上の制限 | - | 国土法届出 | 不要 |
| 小学校区 | () |
中学校区 | () |
| 取引態様 | 売主 | ||
電話をかける(携帯・PHS可)
0120-29-6565
「ホームページを見て」とお伝え下さい。
お問い合わせ番号をお伝えください
RHS-QB400034
| 年利率 | % |
||
|---|---|---|---|
| ボーナス払い | 返済年数 | ||
| 頭金 | 直接入力する | 万円 | |

毎月のご返済額 |
ボーナス(×年2回) |
物件価格356万円 |
電話でお問い合わせ
ピタットハウス鳴門店
|
電話をかける 0120-29-6565 ※「ホームページを見て」とお伝えください。 |
お問い合わせ番号をお伝えください RHS-QB400034 |
|---|
鳴門教育大学まで60m。学内に図書館があり利用可能です。